Alte caracteristici: Acces auto, La șosea, Oportunitate de investiții
Amenajare străzi: Asfaltate, Iluminat stradal, Mijloace de transport în comun
Urbanism: PUZ Aprobat, Certificat de urbanism
Descriere proprietate
Va propun spre cumparare un teren ideal pentru investitii imobiliare situat in apropiere de Aeroportul international Sibiu, in arealul comunei Cristian, din judetul Sibiu.
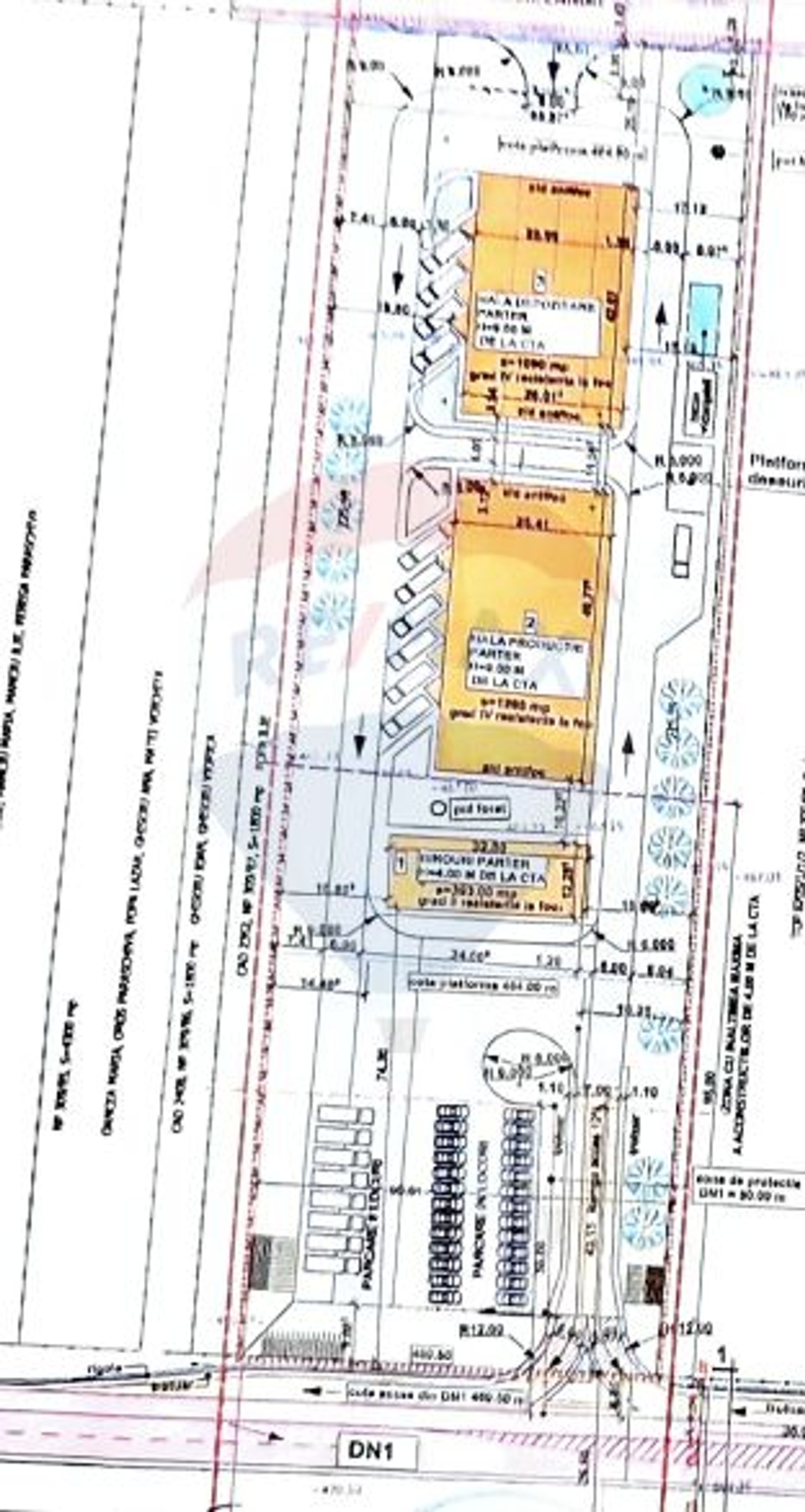
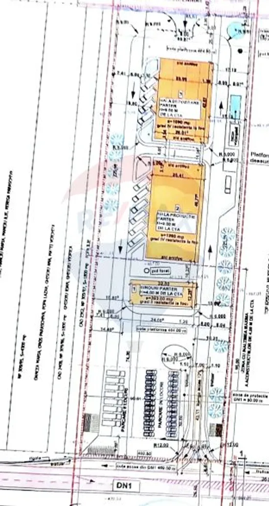
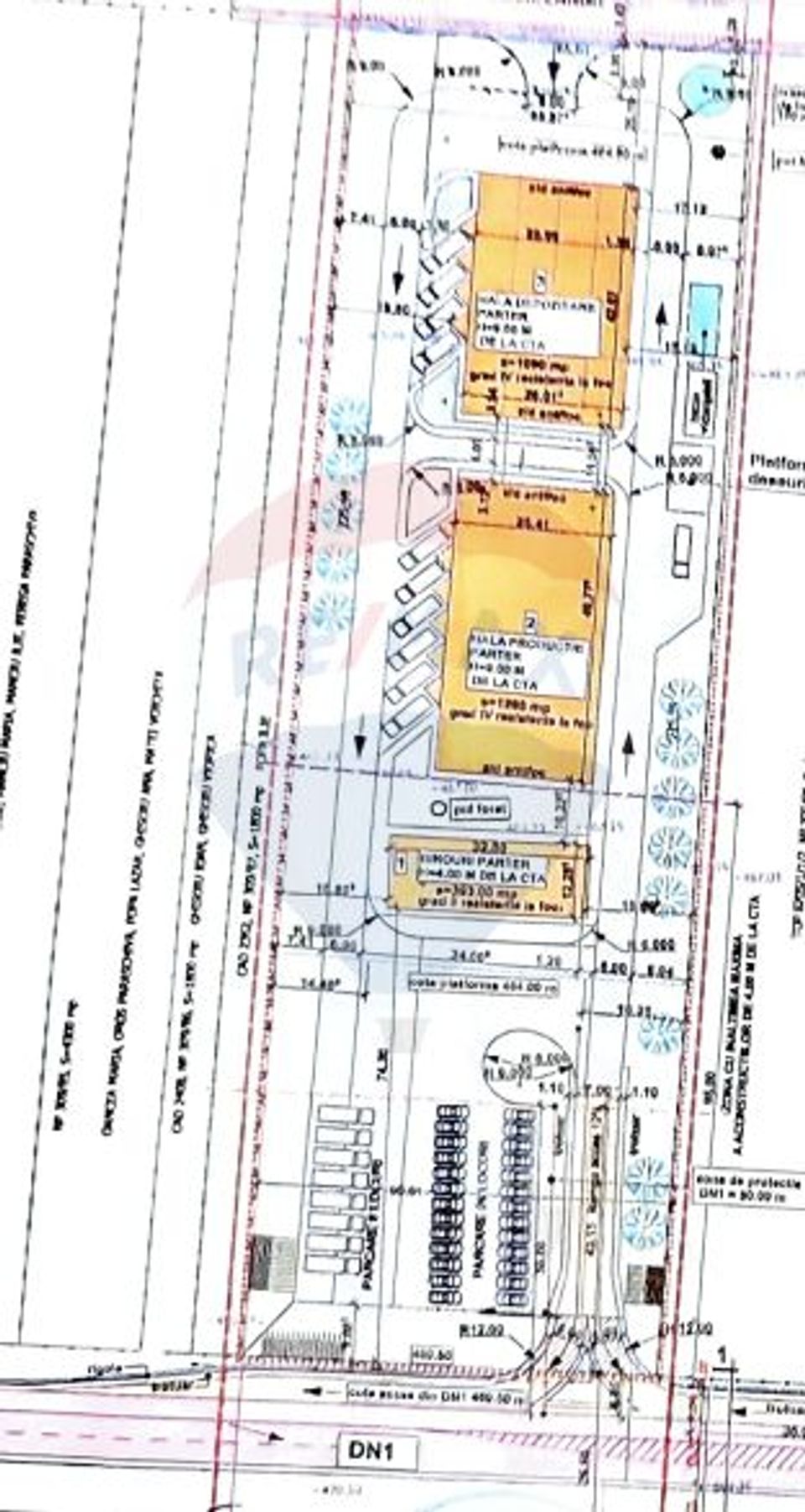
Imobilul are suprafata de 14.800 mp cu o deschidere la DN 1/E81 de 66 ml.
Principalul avantaj pe care il detine acest teren este faptul ca are PUZ initiat de catre proprietar si aprobat de CL Cristian.
Conform PUZ-RLU, terenul este incadrat in si este pretabil atat pentru constructii unitati industriale, depozitare, servicii.
Regim de construire: S+P+3E+R/M;
-funciuni predominante: unitati industriale, depozite, servicii;
H max. streasina_in = 16,00 m de la CTN; H max. coama = 20,00 m de la CTN;
POT max = 70%;
CUT max =2,4;
Detaliile si vizionarea sunt la un telefon distanta
Descriere proprietate
Va propun spre cumparare un teren ideal pentru investitii imobiliare situat in apropiere de Aeroportul international Sibiu, in arealul comunei Cristian, din judetul Sibiu.
Imobilul are suprafata de 14.800 mp cu o deschidere la DN 1/E81 de 66 ml.
Principalul avantaj pe care il detine acest teren este faptul ca are PUZ initiat de catre proprietar si aprobat de CL Cristian.
Conform PUZ-RLU, terenul este incadrat in si este pretabil atat pentru constructii unitati industriale, depozitare, servicii.
Regim de construire: S+P+3E+R/M;
-funciuni predominante: unitati industriale, depozite, servicii;
H max. streasina_in = 16,00 m de la CTN; H max. coama = 20,00 m de la CTN;
POT max = 70%;
CUT max =2,4;
Detaliile si vizionarea sunt la un telefon distanta
Transformă-ți viziunea în realitate cu House Staging
Virtual!
Transformă-ți viziunea în realitate cu House
Staging Virtual!
Descoperă puterea creativității tale! Cu ajutorul instrumentului nostru de House Staging
Virtual, poți redecora și personaliza GRATUIT orice cameră din proprietatea de mai sus.
Experimentează cu mobilier, culori, texturi si stiluri diverse si vezi care dintre acestea ti se
potriveste.
Simplu, rapid și distractiv – toate acestea la un singur clic distanță. Începe acum să-ți
amenajezi virtual locuința ideală!
Fiecare birou francizat RE/MAX e deținut și operat independent.
Descarca gratuit ghidul cumparatorului
Contacteaza agent
Fă-ți cont pe Remax.ro!
Adaugi o proprietate la favorite.
Ai văzut o proprietate care ți-a plăcut? Salveaz-o pentru o accesare ulterioară rapidă.
Salvezi căutarile făcute.
Cauți proprietăți după anumite criterii? Acum le poți salva, pentru a verifica rapid proprietățile nou apărute pe site conform criteriilor tale de selecție.
Partajezi proprietatile selectate.
Vrei să te consiliezi cu un apropiat în privința unei anumite proprietăți? Ai posibilitatea să dai share listei de căutări salvate sau listei de favorite.